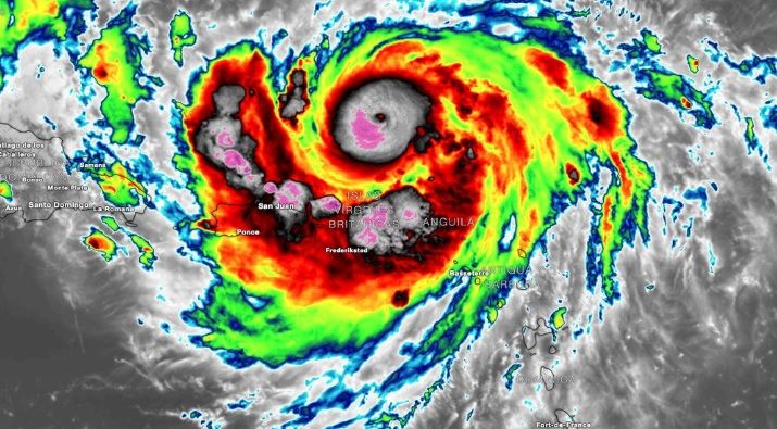
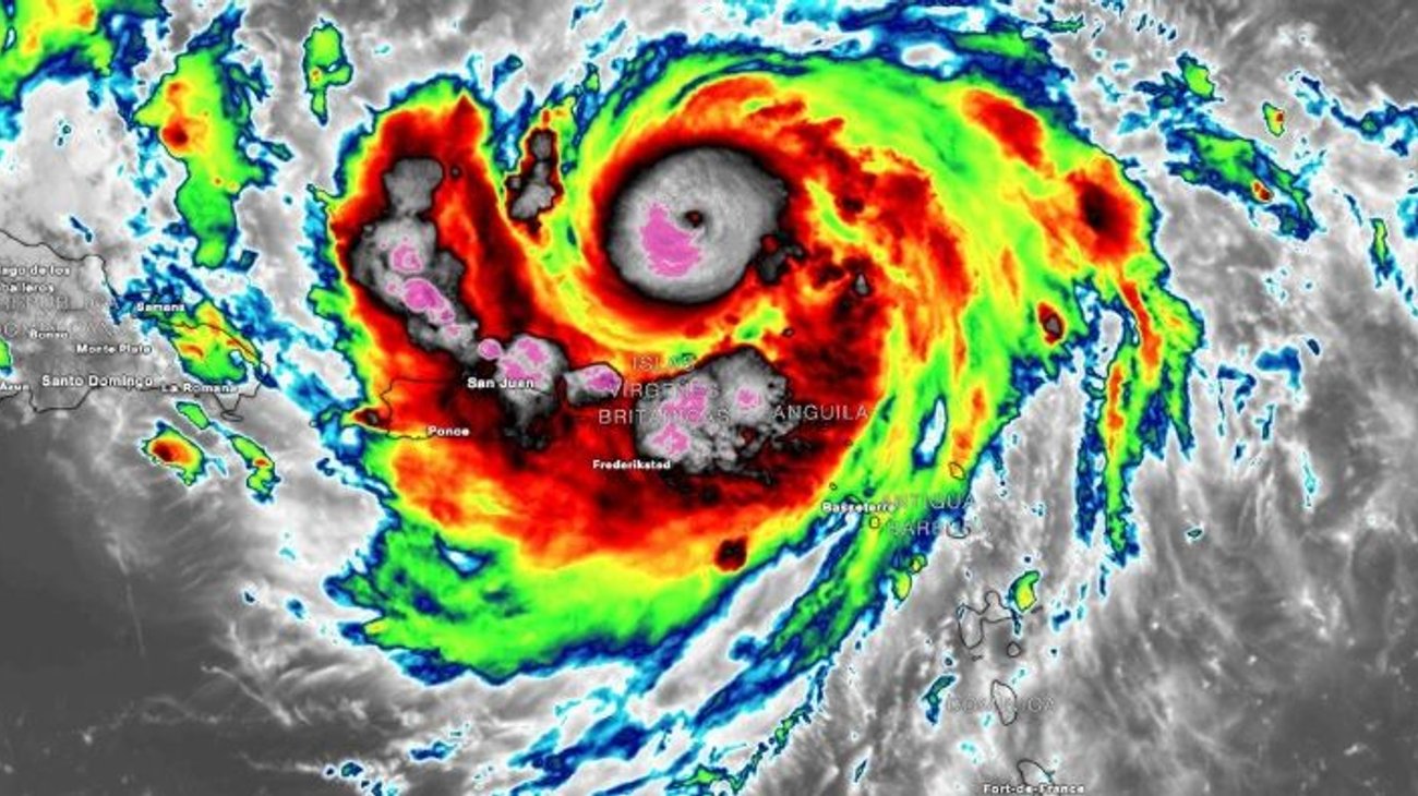
Erin se degrada a huracán categoría 4 y pasa por norte del Caribe
Aunque no se pronostica que el compacto vórtice del huracán toque tierra, amenazaba con descargar lluvias que podrían causar inundaciones en islas de la región
- 16
-
Agosto
2025
Erin se fortaleció en las aguas del océano Atlántico al norte del Caribe el sábado, aumentando rápidamente de una tormenta tropical en un solo día.
Erin, el primer huracán del Atlántico de 2025, alcanzó la categoría 5 antes de debilitarse un poco y convertirse en una tormenta de categoría 4, con vientos máximos sostenidos de 240 km/h (150 mph), según el Centro Nacional de Huracanes (NHC, por sus siglas en inglés).
El centro de la tormenta se encontraba a unos 235 kilómetros (150 millas) al noreste de San Juan, Puerto Rico, y se dirigía hacia el oeste a 24 km/h (15 mph).
Aunque no se pronostica que el compacto vórtice del huracán toque tierra, amenazaba con descargar lluvias que podrían causar inundaciones en las islas de la región.

Mike Brennen, director del Centro Nacional de Huracanes en Miami, dijo que Erin se había convertido rápidamente en un “huracán muy poderoso”, con sus vientos ganando 96 km/h (60 mph) en aproximadamente nueve horas.
El Centro de Huracanes indicó que Erin debería comenzar a debilitarse lentamente a medida que la tormenta encuentre una mayor cizalladura del viento. Sin embargo, los meteorólogos pronostican que seguirá siendo un huracán mayor hasta finales de la semana.
Erin está lo suficientemente cerca de tierra para causar inundaciones y deslaves
Se pronosticó que el centro de la tormenta permanecerá en el mar, pasando al norte de Puerto Rico, según el Centro Nacional de Huracanes.
Pero se emitieron alertas de tormenta tropical para San Martín, San Bartolomé y las Islas Turcas y Caicos.

El Centro de Huracanes advirtió que las fuertes lluvias en algunas áreas podrían provocar inundaciones repentinas, deslizamientos de tierra y lodo.
En San Juan, los locales y turistas caminaron, hicieron ejercicio y compraron el sábado como de costumbre. Los restaurantes estaban muy activos, y a pesar de las advertencias de evitar las playas, se podía ver a personas en el agua. Sin embargo, los padres mantuvieron a sus hijos fuera del agua.
Sarahí Torres y Joanna Cornejo, que visitaban la isla desde California para asistir a un concierto de Bad Bunny, dijeron que decidieron ir a la playa y meterse en el agua porque el cielo parecía tranquilo.
“El clima parecía bien, así que salimos”, dijo Torres.

El gobierno de Estados Unidos ha movilizado a más de 200 empleados de la Agencia Federal para el Manejo de Emergencias (FEMA, por sus siglas en inglés) y de otros departamentos en Puerto Rico como precaución. La secretaria de Vivienda de Puerto Rico, Ciary Pérez Peña, indicó que se han inspeccionado 367 refugios y podrían abrirse si fuese necesario.
Por su parte, las autoridades de Bahamas señalaron que prepararon algunos refugios públicos como precaución mientras instaban a la población a estar atentos a la trayectoria del huracán.
“Estas tormentas son muy volátiles y pueden cambiar su movimiento de repente”, dijo Aarone Sargent, director general de la autoridad de gestión de riesgos de desastres de Bahamas.
Aunque Erin es compacto en tamaño, con vientos huracanados que se extienden a 45 kilómetros (30 millas) desde su vórtice, se tiene previsto que duplique o incluso triplique su tamaño en los próximos días.
Erin podría crear corrientes de resaca poderosas en la costa este de Estados Unidos desde Florida hasta el Atlántico medio la próxima semana, incluso ante el pronóstico de que su vórtice permanecerá lejos de la costa, dijo Brennen.
Un “increíble” crecimiento de tormenta tropical a categoría 5
El especialista en huracanes y experto en marejadas ciclónicas Michael Lowry dijo que Erin ganó fuerza a un ritmo que fue “increíble para cualquier época del año, y mucho más para el 16 de agosto”.
Afirmó que sólo se han registrado otros cuatro huracanes de categoría 5 en el Atlántico el 16 de agosto o antes.
Las tormentas más poderosas tienden a formarse más tarde en el año, y la temporada de huracanes suele alcanzar su punto máximo a mediados de septiembre.

Científicos dicen que el calentamiento global se vincula a la rápida intensificación de las tormentas
Los científicos han vinculado la rápida intensificación de los huracanes en el océano Atlántico al cambio climático. El calentamiento global hace que la atmósfera retenga más vapor de agua y eleva las temperaturas oceánicas. Las aguas más cálidas proporcionan a los huracanes el combustible para desatar más lluvia y fortalecerse más rápidamente.
Las tormentas que se intensifican tan rápidamente complican las previsiones de los meteorólogos y dificultan que las agencias gubernamentales se preparen para emergencias. El huracán Erick, una tormenta del Pacífico que tocó tierra el 19 de junio en Oaxaca, México, también se fortaleció rápidamente, duplicando su intensidad en menos de un día.
Erin es la quinta tormenta con nombre de la temporada de huracanes del Atlántico, que va del 1 de junio al 30 de noviembre. Se espera que la temporada de huracanes de 2025 sea inusualmente activa. El pronóstico indica de seis a 10 huracanes, de los cuales, entre tres y cinco alcanzarán al menos la categoría 3, con vientos de más de 177 km/h (110 mph).
Comentarios
Notas Relacionadas
Últimas Noticias
Más Vistas




